Overview
- Updated On:
- 24 listopada, 2025
- 1 941 m2
Description
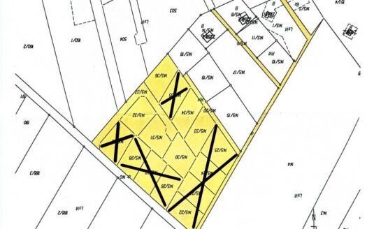
Atrakcyjna, pięknie położona działka budowlana z widokiem na Kampinoski Park Narodowy. Idealna pod budowę domu w cichej, zielonej okolicy z bezpośrednim dostępem do natury.
Położenie:
Truskaw, ul. Południowa – pierwsza linia zabudowy od strony lasu
Ekspozycja:
Front od strony północnej, ogród od strony południowej (korzystne nasłonecznienie)
Powierzchnia:
1941 m² + współudział w drodze dojazdowej o powierzchni 254 m²
Wymiary:
64m/61m (dł.) × 30m (szer.) + droga wjazdowa (9m/6m × 5m)
Media:
Pełne media dostępne w ul. Południowej
Dojazd:
Wydzielona droga dojazdowa, współdzielona z nieruchomością od strony ulicy (współwłasność)
Property Id : 118697
Price: zł 2,250,000
Property Size: 1 941 m2
Other Features
budowlana
piętro: /
rok budowy:
rynek:




















